Geoengineering Watch Global Alert News, September 28, 2019, #216
Dane Wigington
GeoengineeringWatch.org
Wild weather continues with record September snow in the Northwestern US and record heat in the Southeastern US. What is going on?
How can we wake the masses to the converging challenges that we collectively face? Social media is censoring credible sources of independent data, so it's up to us to sound the alarm at a grass roots level. Share credible data from a credible source, make your voice heard, make every day count.
DW
This is what meteorologists call "partly cloudy”. Does this look normal to you?
Amsterdam, Netherlands, September 20th, 2019. Video credit: Stefano Den Hertog
This week's GeoengineeringWatch.org outreach booth is at the Expo Idaho, Boise, Idaho, and is shown below. My most sincere and continuing gratitude to the Gem Faire exhibition organizers for facilitating and setting up this very effective booth in every week's Gem Faire location. The schedule for upcoming Gem Faire events is HERE. A geoengineeringwatch.org booth will be at all events, thanks to the steadfast support of Gem Faire.





































































































































The "wisdom" of this unelected bureaucrat in California deciding that the state wishes to sever ties with ham radio operators who perform a yeoman's service in emergencies such as the recent wildfires, smacks of the hubris and madness of the people who run this state.
The California state government through an unelected official has severed ties to ham radio repeater owners throughout the state. putting countless lives in danger in rural California when the next Camp Fire ignites
K6UDA
Oct 2, 2019
https://youtu.be/lv2sb4LJq2g
We The people need to write letters and call our state government and bitch loudly about this one.
Read the letter here:
http://www.shastadefense.com/FAX-CalFireHamRadio20190923.pdf
E-Mail: Lorina.Pisi@fire.ca.gov
Telephone: 916-327-8492 Fax: 916-324-3400
Governor Gavin Newsom
Mailing address:
Governor Gavin Newsom
1303 10th Street, Suite 1173
Sacramento, CA 95814
Phone: (916) 445-2841
Fax: (916) 558-3160
There are a number of excellent posts by Dennie and V. Susan Ferguson within the reader comments section. Those who come here should read and disseminate the referenced links to as many activists and worthy web sites as possible.
In answer to questions such as: "Why are these people not being investigated?" [In reference to Dov Zakheim] Or this: "Why am I, and random school teachers and college students and 'unemployed hacks', doing this work?"
Consider this wonderfully articulate interview with Chris Hedges. >
The Collapse of the American Empire? – YouTube
Published on September 12, 2018
https://www.youtube.com/watch?v=tPk9HSLagVg
Empires collapse from plain laziness. "Leaders" metastasize upward from the disease of consent…
P.S: Dov Zakheim, who owned the world's largest remote flight control company, housed, along with the C.I.A., coincidentally in WTC7, the Salomon Brothers building that miraculously fell neatly into it's own footprint after some office furniture caught fire, was a dual U.S./Israeli citizen (…oh, and also an ordained rabbi):
"And in another of the wildly unbelievable coincidences that have proved commonplace in the narrative of 9/11, the former CEO of the world's leading remote aviation technology company, System Planning Corporation, is Dov Zakheim. In May of 2001, four months before 9/11, Mr. Zakheim was appointed Undersecretary of Defense and Comptroller of the Pentagon – putting him in charge of the Defense Department's vast, bottomless sums of money. Unsurprising, and even more intriguing, Zakheim was also a founding member and co-author of PNAC's seminal document "Rebuilding America's Defenses", the document calling for the radical neo-Con restructuring of American foreign and domestic policy, a restructuring the authors famously said would be unlikely "absent some catastrophic and catalyzing event – like a new Pearl Harbor."
Why are these people not being investigated? Why are these coincidences and connections not being questioned and de-constructed by the media and investigators armed with subpoena power? Why am I, and random school teachers and college students and 'unemployed hacks', doing this work? How many dots do we need before they connect themselves?"
If anyone knows where the bodies of the 9/11 perps are buried, it's the Supreme Hawk named Dov. To learn more about everything that went into the making of the massive coup called 9-11, get a copy of Crossing the Rubicon: The Decline of the American Empire at the end of the Age of Oil by Michael C. Ruppert. There's an entire chapter in that N.Y. Times best-seller devoted just to Israel.
Thanks for that great information Dennie. Another person who has a story to tell about Zakheim is Scott Bennett who worked for him while Zakheim was in charge at Booz Allen Hamilton. He also worked under Donald Rumsfeld. He wrote a book called "Shell Game" and his website is shellgamewhistleblower.com. Scott discovered bombshell information about the many treasonus offshore bank accounts in Switzerland in the names of many of our so called 'high ranking' politicians used for taking money from foreign interests. ( i think its called bribery..) When Scott learned of this, his reward was to be thrown in jail on false charges. It was there that he met up with former Swiss banker Brad Birkenfeld and comprised a letter to EVERY member of the US house and Senate asking for a full congressional inquiry into this treasonus behavior. The ONLY person who even responded to him was Senator Rand Paul of Kentucky. Not ONE other member of YOUR House or Senate EVER EVEN ACKNOWLEDGED his request, despite the fact that Scott held a high security clearance while he was working for the government. I've heard him tell his story a number of times and it's worth hearing. I have great respect for this man's courage in speaking truth to power. Also James and Joann Moriarity have an amazing tale to tell about the truth of what happened in Benghazi. They know because they were there when it happened. Their site is libyanwarthetruth.com. Like Dane, I hold these people in the highest esteem. All are courageous true American patriots and heroes.
Well stated Dennie. You have a way with words. Since the majority of people have been slow to awaken to the 911 false flag reality (self included), I find Architects & Engineers for 911 Truth (ae911truth.org), which I know you are aware of, to have a very effective piece in their video gallery. That is the 9/11/2019 National Press Club Conference with Fire Commissioner Gioia as host. Of course, The national press club web page made no notice of this press conference (censored).
I Like the way Mr McIlvaine (father of murdered son Bobby- for which Act to rethink 911, proposed to congress, is named) summed it up: My job is easier, because 3000+ Architects & Engineers have proven that the buildings went down by controlled demolition. So, leave the terrorist out of this. The planes did not take down the buildings. For lack of better words, the western empire was responsible for 911- an inside job.
For those of you who may not remember the “Deep Shield” report or may not have read it, here:
https://old1.geoengineeringwatch.org/why-are-they-spraying-answers-from-an-insider/
Quotes from: Why Are They Spraying? Answers From An Insider / Points To Ponder: The Shield Project
Without the shield, UV poisoning would cause great death. The threat is a common one, which has brought nations together in defense. The natural outcome of having a common enemy is to strengthen international ties – a step toward globalization.
Why all the secrecy?
Due to the severity of the situation it is mandatory to maintain public calm for as long as possible. The Earth is dying. Humanity is on the road to extinction – without the Shield mankind will die off with in 20 to 50 years. Most people alive today could live to see this extinction take place. This means that an announcement of the situation we face boils down to telling every man, woman and child on earth that they have no future, they are going to be killed. People would panic. There would be economic collapse, the production and movement of goods would collapse. Millions would die in all cities on earth, riots and violence would reduce civilian centers to rubble within days. Half of the population in dense metropolitan areas would try to leave the cities seeking 'safety' in the rural areas thinking that they would be safe. Those left behind in the cities would be at war with their neighbors, fighting for the remaining supplies. We would be telling the world that the world is coming to an end, and even with the Shield the chances of survival are small.
When will spraying stop?
There are several factors governing this:
A. Should the Ozone layer repair itself or our active attempts at repair reduces the amount of ground level UV to acceptable levels, spraying will stop. Present calculations place this between 2018 and 2024.
B. Should another method be found which is more effective, less costly or presents us with long-term solutions the Shield Project would be replaced.
C. When the other problems become too big to make the maintenance of the shield worth the effort. The estimated date for this is 2025 to 2050.
What about the reports of sickness after spraying?
There are several causatives for this. Some people are more sensitive to metals, whiles others are sensitive to the polymer chemicals. As stated in a previous email, people will get sick, and some will die. It is estimated that 2 billion worldwide will be affected to some degree by the spraying. Without spraying we have a 90% + chance of becoming extinct as a species with in the next 20 years.
Hani Hanjour and Flight 77's Unexplained Expert Maneuvers: http://www.911hardfacts.com/report_14.htm Unfortunately too many Americans aren't hurting enough yet from the meltdown of the economy, based on the meltdown of the environment, to challenge the official narratives, explanations and stories. They simply refuse/can't see the forest for the trees, even when the trees are dying. Too many Americans are still benefiting from the profiteering plunder/pillage scheme and won't dare challenge the status quo. They stupidly believe they have too much to lose.
Dane: Re: Flight 77's Unexplained Expert Maneuvers heard at 42" in this week's Global Alert News. Great catch! There are a number of links to this report. Here's one:
From Hani Hanjour and Flight 77's Unexplained Maneuvers:
"The official story unfolds something like this. The rather diminutive Hanjour, sometime after take-off, fought his way into the cockpit, and wrestled control of Flight 77 from a 6'4" former Marine combat fighter pilot named Charles Burlingame, a man family members and colleagues say would never have given up his aircraft or the safety of his passengers. After dispatching with the co-pilot as well, Hanjour settled in and turned his attention to the bewildering array of gadgets and devices of a Boeing 757 instrument panel – a panel he was wholly unfamiliar with – in an airplane traveling 500 mph, 7 miles in the air, under the stress of a recently executed hijacking plot. Then, without the help of any ground control or air-traffic controllers providing him information and/or settings, this pilot who could not control a tiny Cessna 3 weeks earlier "would have to very quickly interpret his heading, ground track, altitude, and airspeed information on the displays before he could even figure out where in the world he was, much less where the Pentagon was located in relation to his position." (From the essay 'The Impossibility of Flying Heavy Aircraft Without Training', by Nila Sagadevan, an aeronautical engineer and pilot.)" [source article:] http://www.911hardfacts.com/report_14.htm
It's unbelievable that the public would buy the story but then again they are NOT getting the actual facts and lack the ability to think critically when herded into an "Us vs. The Enemy" scenario.
What I want to know is what happened to all the people on those "hijacked" flights? One of them from my hometown of San Rafael, CA, Lauren Catuzzi Grandcolas, was a passenger on Flight 93. Her husband was interviewed in an article in our local daily newspaper after that horrible day of shock, fear, and all the lies that were created to cover up what really happened. There is a memorial plaque to her memory on a wall very close to the plaza in downtown San Rafael. Will we ever really know what happened to her?
dear dane
you have always been aware since childhood of the skies
when i was small i could never understand why grown-ups didn't talk to each other
born in 1949 not long after ww2 to london people who encountered having to step over dead bodies on their way to work in the morning. never understood till much later that these people i was born amongst were still getting over the shock of bombs, death and destruction
later on i faced death myself, a number of times, that i don't need to go into, so i think i understand how you felt in that river, although i was just saving me, whereas you had the responsibility of your son too.
life gets more precious when one faces death, has faced death, so your words at the end of your broadcast touched me deeply
i too believe, as i live amongst people who are not awake to the dangers around them until it is on their doorstep, that i have to maintain my mind, intellect, body, emotions and soul
tis a hard task my friend and without your website and understanding from so many good people, i would not be able to do that
as we come into autumn in essex i am worried, as the leaves fall from the trees and bushes around me, that there will be nothing between me and the filth.
at least it will give the plants a chance to recuperate over winter – but will leave me bare and exposed to the undeniable pollution of our skies
i think our skies in the uk have not always been so geoengineered as when i was small my family would go wild camping in the west country, and everywhere smelt so good, the rain, the wind was clean and the sun was bright and warmed this cold small child
we've just been inundated with water – can't call it rain!
some of my ceiling fell down, and i have been falling over with menieres – balance problem which seems to be passing
now to clear up, the garden and myself
we had no 'rain' for so long and then it buckets – has such rage when it comes down
how can humans think that they can replicate what nature does – nature is sooo subtle, gardeners know to follow nature but our attempts are so crude we know how inadequate we are
except the people who turn their gardens into exotica – 'what fools these mortals be' – such a good quote from puck – midsummer nights dream
and i have to say on another note cos i'm so angry – i am so sick to death of women and their wails – they should try being a bloke – men can't do a 'slinky' and get what they want with little effort – i want , i want, i want – sounds like many young people too!
most men have to work for it and most of them have to answer to the real sick sycopaths who have little feeling for others and who run the whole show – and what a show it is becoming
dane, i hope you and your family are well in all senses of the word
and also to all the rest of you wide awake people on this tiny piece of precious energy spinning in space – i send my love and affection
keep safe
humans
what will they think of next – all those children playing about with the rest of us
while they put up sixteen year olds to shout at people and divert the masses – like they give a s..t
little do they know – all for one and one for all
we go down together – but they haven't got that yet – hope they hurry up!!
much love to the sane who feel the pain
To ALL, This last weekend we here in the northwest portion of north america were treated to a "chemical cool down" of the highest grade. The absolutely controlled theater of weather manipulation was crystal clear, pun intended. Where my cabin is at 3,100 ft ele, was just about the line of snow or "wet cold" rain/drizzle. You'd be wasting your time telling me I didn't see what I saw, "in real time". Let me tell ya folks, "they" are getting pretty good at localizing what happens and where with what ever weather "they" deem to appropriate. It's not just in Roi's back yard, it's every where. The snow showed evidence of "freezing level". A term I give great scrutiny to these days when I see where freezing precipitation is falling. Elevation is not as relevant as it used to be. And hence, those snow vs elevation lines I see on the mountains around me are not real, not formed like I once knew them to form. I can see for miles out my windows. The snow fall was centralized over certain mountain areas around me. Not all. Historically, weather in any region usually came over as a wave. That wave rolled with the geography in the region. Now days those waves of weather move about with no seemingly good reason. I am happy that the temps are returning to somewhat normal for this time of year. Now I can resume getting ready for the "real winter". I have a sneaky feeling that "they" are going to bring a bit of that heavy new england snow fall here to the northwest. "Think of all the money to be made!" Weather events like the one that rolled over us play pretty hard on my stamina. Keeping my chin up you might say. These feelings do not come from others going about like nothing is wrong. These feelings come from knowing exactly what I saw happen over a 2 and 1/2 day period. Knowing exactly what the trickle down effects are and will be. After this last weekend I don't have a chance of convincing anyone about global warming, but, I do have a huge opportunity to explain what is happening to the vegetation in our region after that "snow and cold rain event". Only two days out now and many, not all, plants and trees that have leaves are showing signs of the leaves just dying. "Not turning color for fall". Fall colors are dependent on how much rain runs over any given region. The less rain(within reason) the more the color. The groves of Aspen and Poplar in my region should be turning a brilliant yellow. I'm pretty sure they're not supposed to have black spots and a brown body(leaf). This last weekend was the 5th measurable rain fall of the fall season. We had no rain to speak of all summer. Two things, one I am happy that I can put away my wild fire worries for the winter and two, I see all the wild life all around me dying a slow death that is becoming a faster death. I'd bet lunch that I could take the biggest skeptic and transform them into a believer after just 2 hours walk in the forest that surrounds my cabin. Especially if they were "off the record". I know that's not a completely true statement but hey, "we all gotta have our dreams, right?" I'm in this fight for the long haul. I can get 1,200 lb horses to do what I "ask". I've been behind a 22 dog sled dog team. Talking to folks about "awareness" is no different, honest. "If you're worth following, they'll follow"… and most folks only have 2 legs, how easy can it be?
Love, strength and a grin to ALL, 'a' simple horseman
Dutch farmers clog highways in protest at politicians labeling them climate change problem
Published time: 1 Oct, 2019
"Agriculture Minister Carola Schouten said she was ready to listen to farmers’ concerns and assured them that the country was working toward “a strong agricultural sector with an eye on a healthy environment.”
https://www.rt.com/news/470011-dutch-farmers-tractors-climate/
Heh, heh… Neither the farmers nor Minister Carola Schouten (who alludes to keeping an eye on a "healthy environment") are bothering themselves with actually seeing the sky. In fact; it seems no one in the Amsterdam, Netherlands area observes the same sky as offered on this page by Mr. Stefano Den Hertog September 20th, 2019…
Excerpted from: Department of Justice
Office of Public Affairs
Monday, September 16, 2019
Current and Former Precious Metals Traders Charged with Multi-Year Market Manipulation Racketeering Conspiracy
"Two current precious metals traders and one former trader in the New York offices of a U.S. bank (Bank A) were charged in an indictment unsealed today for their alleged participation in a racketeering conspiracy and other federal crimes in connection with the manipulation of the markets for precious metals futures contracts, which spanned over eight years and involved thousands of unlawful trading sequences."
“The defendants and others allegedly engaged in a massive, multiyear scheme to manipulate the market for precious metals futures contracts and defraud market participants,” said Assistant Attorney General Brian A. Benczkowski. “These charges should leave no doubt that the Department is committed to prosecuting those who undermine the investing public’s trust in the integrity of our commodities markets.”
Above is just one example of why most civilians refuse to wake up. There are well known climate and food production effects related to geoengineering. Let's connect some dots: Agribusiness and futures markets are similarly manipulated, because every American wants to eat some genetically altered cake…
The World Bank, International Monetary Fund, Bank for International Settlements, and Chicago Mercantile Exchange know the game is on…
The American Dream: Let's destroy sovereign lands so we can buy ourselves a new SUV…
Complete text: https://www.justice.gov/opa/pr/current-and-former-precious-metals-traders-charged-multi-year-market-manipulation
Quasi-military control of financial markets is key to commodities and futures valuations. Debt and payment fluctuations fund regime change wars (as in Iraq, Afghanistan, Libya, Syria, Venezuela, etc.) and the overthrow of civil liberties through false flag "protests".
Geoengineering activities will not stop without an understanding of who the perpetrators are and civil enforcement of anti-racketeering Laws… >
U.S. Code › Title 18 › Part I › Chapter 96 › § 1964
18 U.S. Code § 1964 – Civil remedies
Complete text: https://www.law.cornell.edu/uscode/text/18/1964
Leaked WikiLeaks Doc Reveals US Military Use of IMF, World Bank as “Unconventional” Weapons
February 7th, 2019
"The document, officially titled “Field Manual (FM) 3-05.130, Army Special Operations Forces Unconventional Warfare” and originally written in September 2008, was recently highlighted by WikiLeaks on Twitter in light of recent events in Venezuela as well as the years-long, U.S.-led economic siege of that country through sanctions and other means of economic warfare. Though the document has generated new interest in recent days, it had originally been released by WikiLeaks in December 2008 and has been described as the military’s “regime change handbook.”
Complete article: https://www.mintpressnews.com/leaked-wikileaks-doc-reveals-how-us-military-uses-of-imf-world-bank-as-unconventional-weapons/254708/
Dane mentioned the current heat wave in the Southeast. In fact here in the Aiken / Augusta area, the entire year of 2019 is running nearly four degrees F above the already abnormally warm 1981 to 2010 base period. September was actually warmer than August. As for 9/11 the government`s version takes place in a bizarre world where giant planes virtually disintegrate along with their nearly indestructible black boxes, while Korans, Muslim headgear, and passports remain miraculously and conveniently intact.
Spraying all the blue patches in PA that's left. Like to scream the top of my lungs to all the sheep to wake them up that there killing us. Why why why!!!!!!!!!!! NO MORE NO MORE!!!!!!
Hurricane/Tropical Storm Lorenzo heads for Europe –
https://www.express.co.uk/news/world/1184433/hurricane-lorenzo-path-latest-noaa-map-hurricane-lorenzo-tracker-uk-europe-news
I live just 20 miles SW of Fort Worth, Texas and over the last 18 years my Star gazing telescopes have become just as useless as my solar panels and solar lights that used to decorate my property at night. Raytheon and Lockheed, working with the Navy and Air Force use a 30,000 acre military test range, which directly borders my tiny 3 acre property, for experimenting with each new weather warfare technologically advanced system. That test range and approximately 3 miles of private land, surrounding it has now gone through a 13 month, 9 month and 7 month drought consecutively. Where not one single drop of rain fell to the ground. Because, every single rain producing cloud that approached this "weather control zone" was attacked vigorously by tanker aircraft spraying special "silk like" aerosol particulates, about 500-1,000 feet above each thunderhead. Then very powerful microwave transmissions were generated as the aerosols wrapped completely over the top of those storms. I have taken hundreds of HD images with my Nikon D90 of this process, which clearly shows those massive thunderheads (which in most cases, took 45 to 90 minutes to build up) being dissolved/evaporated/melted away to nothing in only 90 seconds to 2 minutes…tops! Over and over again they attacked every single rain producing system and all we received was a very fine mist. While just 5 miles in any direction all around this weather control zone, small towns like Aledo, Weatherford, Hudson Oaks and Willow Park were soaked with several inches of heavy rain. During the first engineered drought of 13 months we received zero 0.00 inches of rain. But just a few miles away Aledo had 23 inches, Weatherford… 32 inches etc. We are now yet again, going on 5 months without measurable rain and it has been between 95 to 112 degrees, for 118 days straight! With humidity levels that rarely ever drop below 70% and when you do the math. We have endured temperature humidity index values over 160 degrees! The massive bombardment of UV-A, B and C radiation has completely fried my solar panels and solar lights. The 100 plus aerosol trails sprayed here every 24 hours has created a dome of super dense particulates that makes it impossible to enjoy any stargazing, with my 3 professional quality telescopes any more. All trees and ornamentals are dying, with the leaves turning pitch black from radiation burns. Between extreme UV radiation and mega powerful microwaves no vehicle batteries last more than 3 months here, including brand new ones. In between these engineered droughts they experiment with their newest chemical ice nucleation technologies and we have been hit by 3 tornadoes and several massive hailstorms. Where hailstones between 6 and 12 inches in size, scattered among all of the softball to grapefruit sized hailstones… and millions of golf ball hail, have made this place look like we were attacked by cruise missiles and bombs. We even experience dust devils with wind speeds of 90 plus mph and up to 50 to 100 feet across at the base. If you place very green and super unripe bananas outside in the shade, even on mild days only in the 60s and 70s, they turn completely black and mushy in less than 12 hours! A completely charged brand new cell phone battery will totally discharge in only 3-4 hours! Completely insane weather weapon designers from Raytheon and Lockheed even created a storm on Christmas day three years ago, when the temperature was in the mid 40s, which formed on the military test range. But got completely out of control and produced an EF- 5 tornado that killed five innocent victims in their car, as they were on their way to enjoy Christmas with their family. I challenge any skeptics or climate engineering deniers to spend just 24 hours at my home and experience first hand, exactly what the military industrial complex is capable of doing with weather weapons of war. I have for 18 years now and the entire world is in for some serious HURT, unless we can achieve the impossible and wake up the masses. Dakota Roi
Thank you for your post. It was compelling.
Your post is an absolute bombshell. You may find Raytheon / Lockheed or the DIA or Navy Intel or the Air Force etc. etc. offering you a high paying job, which it might be inadvisable to refuse. You are publicly forcing the s*** to hit the fan, and throwing it back in the face of the Banking Cabal and their MIC. Many thanks.
Roi: If my memory serves me, Raytheon created NEXRAD. The University of Oklahoma had much to do with this, too. Thanks for your report. A living nightmare!
Thanks for sharing all that Roi! Probably showing my ignorance here, but what exactly is it that's making the batteries die so quickly? I've noticed that happen with our cell phones in certain locations and didn't know why.
I'm so sorry for your situation. What a tough place to have to live. Think I would try to move if I were you. Not like there's anywhere that's untouched now, but what you describe, living in their experimental zone, sounds very extreme and dangerous!
You posted what I've been observing & posting now for a good 14 years on the breaking up of the real clouds. Several years back overhead my property we had lightening like across the sky but not one cloud all day long. Of course there was no thunder or crackling to accompany these sinister works afterwards. They had been spraying their trash in the sky with the white looking fake clouds left up there. Another year over Las Cruces, N.M. it was lit up in a phosphorous green like color all night long pulsing like every second or 2 until the sun came up next morning. Of course it was never reported in media, not that I really believe any thing they say, the bunch of paid off puppets. I feel for you Roi as all mankind on this Earth along with everything else on it. These people are reckless and Evil to say the least. I can only imagine they will reap what they sow.
dear roi
i cannot express to you how i feel reading about you and your home
tis a horror movie that seems too hard to turn off
after seeing on one of dane's videos president johnson saying 'who controls the weather controls the world,' the madmen really are in control
i shall be thinking of you – just wish i could do something
So sorry Roi,this is the great tribulation,thanks for the heads up,its going to take divine intervention for sure….
I can only imagine the frustration (rage) you must experience every day when you wake up and look outside. Praying for an immediate end to this madness!!
I just read (again) Staying Healthy in a World that Isn't. Great information there! I do most of the things listed already. But I struggle with an undiagnosed autoimmune condition (probably ME/CFS, maybe MS) and arthritis, which I mostly keep under control with all those protocols you listed. But I'm having a terrible time finding an exercise that doesn't injure me. Just four years ago I was doing 5 mile mountain hikes once or twice a week. But it's gotten so bad now that for the last 3 months I haven't even been able to manage my short daily walks. I know swimming would be a good option, but I have no where to do that. Any suggestions?
Yoga works for me. I have been doing this for three years now. Nothing crazy because I have an ankle that needs a replacement and arthritis in my right foot and Harrington rods in my back that the hooks are loose and nothing can be done. Iyengar is the kind. I hope this helps. Thanks Dane and all of you on this message board. It’s my lifeline to sanity.
Could be fungal, I'd look into Sporothrix Globosa, dermal fungal infection that can go systemic, likes to munch on joints from what I understand. It's an odd fungus, it utilizes metals in a strange way, can get em into places they don't belong and trick the body into attacking itself.
Got myself on potassium iodide to clear it out of my system after spending some time in mold-infested housing. Ncbi is a great (if cryptic) resource for medical research, the truth of your condition lies somewhere in those archives.
Thanks for the replies. Stretching does seem to help…but I just don't feel like it's much of an exercise. Then again I guess we all have to do the best we can with our limitations.
I do try to keep my iodide levels up. The fungal question is very interesting. You know, they used to report mold spore levels on the pollen websites…but they stopped doing that a few years ago. And here in the northwest I'm pretty sure the levels are very high. Also in the muggy southeast where I used to live. We used to have low humidity in Seattle during the dry season, but this year the humidity was VERY high all summer, often in the 80 & 90%s…and almost no rain ever falling even when humidity was close to 100.
Faith, I would recommend trying restorative or gentle yoga or Tai Chi. I have RA (in remission) with joint deformities) and have been doing these for many years. Yoga studios, Y community programs, junior colleges, university adult education, and senior programs are sources. There are many styles of Tai Chi. I do the short form in the Yang style. There is training available online but I recommend in-person classes initially. Tai Chi is very forgiving – whatever you can do is fine. You will develop leg strength, coordination, and balance, and it is good for relaxation, sleep, and the brain.
Hi Faith – You might check your dental health. Root canals and wisdom teeth cavitations harbor deadly bacteria; and mercury from amalgam "silver" fillings causes a wide variety of chronic illnesses. The American Dental Association covers this all up. Twenty million root canals performed in the US annually adds up to a significant amount of money.
For more information, visit IAOMT dot org, International Academy of Oral Medicine and Toxicology. Also, amalgam dot org, Dental Amalgam Mercury Solutions DAM Fact Sheets. Also cardiologist Dr. Thomas E. Levy, MD, JD whose book "Hidden Epidemic" shows the heavily documented data of dental pathogens causing heart disease, breast cancer, and a breakdown of the immune system. Also, Andrew Cutler PhD, whose gentle, heavy metal chelation protocol should be of interest to all Geoengineering Watch readers.
I have had my three root canaled teeth pulled during the last year, and each time experienced almost instant relief of chronic pain. I am now replacing metal-based crowns with crowns which contain no metal and extracting amalgam in the tooth base. My health is slowly improving.
And it's bad enough that these evil tyrants who are in charge put "smart" meters on our houses, replacing the analogue meters that measure our energy use, the excuse being that "there would not be meter readers anymore, but could be done electronically." Try getting them removed with the old analogue devices put back — next to impossible, from what I've read! One needs a good lawyer, and even if the analogue meter is put back, there is a monthly fine for having done that.
That's right. And I'm VERY sensitive to EMFs. I just happened to read that PSE is "upgrading" their smart meters in the Puget Sound. The end of the article had a number to call if you wanted to opt out. So I called. When they come to our neighborhood next year to change the meters, they're going to put the old analog kind back on our house. There is a $15 per month charge; they said to cover the cost of the meter reader. I emailed them several times over the last few years to ask about removing the smart meter and never got a single response. Because the house in our neighborhood are very close together, and all my neighbors will have the "new and improved" stronger smart meters, I'm not sure if changing my meter will really even help me…but it's worth a try.
Here is an excellent video about "smart," or electronic meters by Jerry Day. He covers a lot of very useful information.
https://www.youtube.com/watch?v=PmP54w77Ysk&list=PL3BO0ewwcLGCfvKQS1EqY2ZDCvblUdaU3
Dane, I'm sure I speak for us all when I say we are so thankful you made it out of that river. What a special boy your son must be too, to have just held on and not panicked. Good example of how important it is to be as prepared as possible for the unexpected; thank you.
Our grocery stores here have dramatically cut the amount of canned fruits in the last, maybe three months. I have asked about it and been lied to, but the re-arrangement of the stores may be a disguise to make this less noticeable to customers. This is Kroger/City Market and also Walmart. My thinking is either the harvest of fruit was very poor, and we are already running out, or they are trying to keep us from stocking up. This may be showing that Dane is right. Certainly many of our trees are very sick and many dying. A tree grinding plant here in town grinds up at least 4 truck loads of dead pines daily here into pieces for pressed wood. I'm sure its millions of trees here in the Colorado mountains that have died from the spray. This is happening here in Western Colorado.
Hi, Larry. Our local stores have removed entire aisles because they don’t want customers to see empty shelves. As to your point about being lied to…..I’ve posted this before but when my wife asked one honest local grocer two years ago why they didn’t have a bunch of stuff that they had always carried, he replied, “ It’s only going to get worse.” So, yes you were lied to because they do, indeed, know what’s going on.
Hi Larry ~ I’m originally from the Western Slope area (Grand Junction and Montrose). I appreciate the info on the area and miss what ‘used to be’ nice, dry air’ there. I’m in very hot, humid, yet artificial drought-laden central North Carolina. The local Food Lion here has been completely shifting things around. I purchased bagged Lemons last week that were tagged ‘Argentina’. Half of them were completely ‘mush’ and I had to return them. Produce prices are really climbing also. I no longer purchase Wal Mart produce. Most of it looks, tastes and feels artificial. Thanks for your comments.
Hello to all from Southwestern, New Mexico USA. Looking towards El Paso, Texas the multitude of rain clouds are being worked over with SAG/SRM, SAI. The Evil flyboys are destroying these clouds, what gets me is as all here that the majority of people can't see these evil works. It's so obvious for the open minded person not living in Denial. We have such a wonderful bunch of leaders in this country and their Master of Destruction with such Operations & Deceit. They are a whole bunch of fallen people led astray loving Evil…
"The stars are bright, big and bright deep in the heart of Texas." –Not anymore. Each night we look up to see if the stars are appearing – often they are – for a while. Some nights there is a smell of smoke early. But lately, by daybreak all that can be seen is a large very dark and deep-looking mass of smoke or something spread far out along the eastern horizon. It looks like a mountain. Later, that sinister-looking development will dissipate somewhat as the sun comes-up upon it. Then, the day will become a haze of "mostly partly cloudy, mostly partly sunny and "whatever" it's called to "fool most of the people some of the time, and some of the people all of the time."
The quote "We do not use force whenever we want, wherever we want" begins [at 39:54 min] in John Brennan's horrific speech. (Closed captions do not match the audio.) https://www.c-span.org/video/?305721-1/us-counterterrorism-strategy
And a CIA/Mossad method is revealed in the 8th paragraph from the bottom of this article. https://www.politico.com/story/2019/09/12/israel-white-house-spying-devices-1491351
a link to this John Brennan speech was previously posted, here: https://old1.geoengineeringwatch.org/cia-whistleblower-speaks-out-about-climate-engineering-vaccination-dangers-911-and-the-governments-persecution-of-truth-tellers/#comment-1246343
Word here in the bay area is that we are having "the red squadron" here in the bay area so to inform us of added noise (and pollution). The red squadron is the British equivalent to the Blue Angels by the sounds of it. What are they doing here? Nothing against the average person over there or their military men…but why do they have to be here? I have my suspicions. So we get used to other countries military here? I do not want them here. I am in the flight path and do not want to suck in the percolates nor do I want the noise, nor the risk. I do not think the sight/exposure of them is good either, like our love-el-ley little clouds. Some people living think this is what clouds look like. It is early this week for a few days, btw.
Jeanette S, They live here. Every time "persons" go into court, they open that little gate and cross the BAR, British Accredited Registry (law association) talk to the judge and pay their fine. Guess where the money goes?
wow what is that about?
think they are called the red arrows
and that – what's the BAR, british accredited and registry?
i am english – nothing to do with the british 'empire' – we been enslaved for 1000yrs under the normans – who took all the land and dispossesed us!
so tell me more please – i do not understand
… The "red squadron" is now in the S.F. Bay area "so to inform us of added noise (and pollution)…" ???
Okay.
So now, tell us WHO is the "red squadron" and what is this all about? Because we are not privy to your information if you choose not to post the link to your source.
"Other countries" are not "taking over" the U.S. "THEY" WANT YOU TO BELIEVE THIS BECAUSE IT IS THE EXACT OPPOSITE OF WHAT "THEY" ARE IN FACT DOING. The U.S. military has over 150 bases on foreign soil. And there are ZERO foreign military bases here.
Trump thinks he can buy Greenland but you can bet the proverbial farm that the U.S. is NOT "for sale."
How DO people get sucked into all the hysterical Far Right propaganda??
I have observed and recorded the spraying process since the year 2000,I have photos of spraying over Paris ,France since 1995. Since spraying was in full bloom by 1995 in Europe, it must have been in total bloom in the USA many years before . My educated guess is 1980 and before, because I lived in Salt Lake city ,and I became very ill. We had .3-4 months of no sunshine every winter and that was normal.
The focus initially was to spray larger population centers. This was not weather modification, but weather deception and slow intoxication. . Truly the innocent have been made sick ,and now 40 years later brain, psychological illness,high blood pressure, and diabetes , auto immune diseases have come into bloom. to say the least .
In 2008 I pumped about 10,000 liters of Mount Rainier area air,Washington state, through CAP 3 water – a highly filtered and distilled water…Then I Tested the water with a control sample for 68 minerals by ICP method. .I used a independent testing Lab in Madison, Wisconsin.
I found 28 metals that measured high from the air. Some were radio active. The higher ones were found in milligrams per liter or Parts per million ( PPM ). They were Phosphorous, Potassium, Calcium, Magnesium, Sulfur,, Copper, Aluminum, Sodium, Silicone, Manganese, All other minerals were in Micrograms per liter of water or parts per billion ( PPB ).
The amounts were low but breathing these and swallowing them for decades is called chronic intoxication.In addition to minerals there is a petroleum product or micro and nano synthetic .fibers..To measure these also I used an eight channel particle laser counter. three to five times a week for about 4 years.
I found that the fibers measured from 20 – 30 microns at numbers of 12,000 – 400,000 per cubic meter depending on the day and time of day. The fiber size went down to 0.1 microns ,or 100 nanometers with counts that varied from 200,000,000 to 2,000,000,000 or 2 billion per cubic meter. Adults can breathe in from 10 to 18 cubic meters.. Do the math and see how many particles of toxins a day we breathe. From a low of 2 billion to a high of 36 billion per day. From the air into our lungs and then to all of our bodies . .
Please keep in mind that about 90 % of the inhaled toxiic fibers and particles were smaller than 2 microns… May our Creators have mercy on all that Breathes to live.It is an insane freak show on our planet surface.
Since June of 2019 a new kind of fiber that does not have the petroleum slick diffraction colors is being sprayed. The clouds are whiter ,mor puffed and mor abundant.A very dangerous type because it is mor illusive and irritating to the eyes. Look at all the bags developing under peoples eyes.Also look at he increase in Tylenol and Ibuprofen use for headaches, and antihistamine for nasal allergies.
Regards to all.
Yes all of europe incuding russia.
Scooter one – Thank you for this very interesting detailed report. The fact that you made this test in 2008 makes one wonder just how far they have evolved their techniques, particle size, dispersion rates, etc. My own research via my hundreds of photographs taken for the last three years+ over the Olympic Peninsula in WA State (used as an electronic warfare EW zone by the Navy) indicate they are indeed refining the technology and making it more difficult to reveal. As you have said "more illusive" and yet more irritating, toxic, increasingly damaging our immune system.
Incredible evidence, Scooter. Thank you for sharing those results. I live near Mt Rainier. It's ironic but we moved here over a decade ago to get out of the pollution in the southeast. I've always suffered badly from seasonal allergies, etc. But lately, even when they say there is NO pollen out there, like now, I continue to have all the same allergic reactions. Taking quercetin with bromelain helps a good bit. I have noticed a new discomfort with my eyes though, especially by the end of the day, often telling my family that my eyes are hurting. (Feeling it right now,actually!) I'll bet it's the "new" fibers. Anyone found anything specific that helps with that yet?
I encourage everyone to try Dr. Klinghardt's metal detox program. I am doing just the basics and I already have a much clearer mind. The zest for life and desire to have a lasting positive influence is coming back to me despite the increasingly dire situation.
Yes Dane. My husband and I do remember different weather, different skies when we were young. We are both beginning our seventh decade of life and we remember how different the sun felt, how the rain smelled, how the clouds looked. It has all changed! We are so sad to see and know this what you are describing and to know that most people aren't aware. Many distractions, and YouTube has many people and groups that are ranting over "climate change," but not addressing geoengineering. It's absolutely unbelievable! We realize how the media is trying to hide this most important information. Is the power structure and their subjects (us) under the influence of something so terribly evil that people aren't capable of critical thought? We live in northern California as well, not far from Mt. Shasta and are experiencing exactly what you are talking about. We notice it everyday. The pamphlets and other geoengineering materials we keep in our antique shop are slowly making their way out into the world. And last week we had several (just passing through) college students who took a few CDs and information. We just hope that the information will sink in. They seemed interested… Thank you Dane for making it all available. Bless your good and righteous heart!
What a lovely message. This is similar to what I was going to say. Our sky was white yesterday – all done by planes, I watched it happen. What humans have done to the planet must be influencing the climate somehow, but how can we know how much when our weather is not real? The mainstream climate activism seems "astroturfed" to me. What they are wanting is money for venture capitalists and more geoengineering. They want geoengineering to address the different weather that is caused by geoengineering. It's like being in a Terry Gilliam movie. Late capitalism is even more horrific and absurd than we ever imagined.
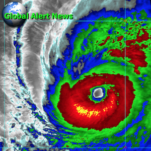
In recent years, there have been several instances where twin typhoons have spun up in close proximity at about the same time. Have the self-appointed weather gods perfected technology that allow them to create (clone) nearly identical tropical storms that follow similar paths within days of each other? In the West Pacific, Typhoon Tapah and Severe Tropical Storm Mitag come to mind.
2019 Pacific typhoon season
From Wikipedia, the free encyclopedia
https://en.wikipedia.org/wiki/2019_Pacific_typhoon_season
Typhoon Tapah (Nimfa)
Typhoon (JMA)
Tropical storm (SSHWS)
Tapah 2019-09-21 0520Z.jpg Tapah 2019 track.png
Duration September 17 – September 22
Peak intensity 120 km/h (75 mph) (10-min) 970 hPa (mbar)
On September 17, a tropical depression formed from the remnants of Tropical Depression Marilyn east of Batanes. PAGASA later named the tropical cyclone as "Nimfa", as the JTWC issued a medium warning for Nimfa. Tropical Depression Nimfa was later given a Tropical Cyclone Formation Alert but still classified it as a monsoon depression by JTWC. The JTWC later designated Nimfa as 18W. Tropical Depression Nimfa was upgraded by the Japan Meteorological Agency into a tropical storm, and was named Tapah.[citation needed] A non-warning tropical depression in the South China Sea merged with the circulation of Tapah on Thursday, September 19.[119] Tapah still had a disorganized and mostly exposed center on September 19. Tapah later re-organized itself, and further intensified into a severe tropical storm.
Early morning on September 21 (PST), Tapah exited the PAR, and then the PAGASA gave its last advisory on it. It even intensified further as it passed the Ryukyu Islands. Tapah then intensified into a typhoon as per the JMA, Tapah weakened into a severe tropical storm, as its diameter explosively expanded. Tapah then rapidly weakened into an extratropical storm on September 22.
—
Severe Tropical Storm Mitag (Onyok)
A new low pressure system formed in the outer parts of the Western Pacific near the Micronesia Islands near-mid September.
The system gradually organized and the Japan Meteorological Agency upgraded it to a tropical depression on September 25. The Joint Typhoon Warning Center then issued a Tropical Cyclone Formation Alert on it. The JTWC later upgraded the system to a tropical depression and designated it 19W.
Chemically ice nucleated "snow" all morning in Coeur d' Alene and outlying areas. "Snowing" again at 4:30 pm. The good thing is everyone's talking about the weather which is a great opportunity to enlighten them with the truth. At the very least it plants an ever so tiny seed that can germinate and maybe the next time weather gets their attention they might remember what you said and question a little. I'm finding these opportunities nearly everywhere and jump on them and have discovered that people are becoming increasingly interested. Keep on keeping on. Please don't give up.
the only preview I have ever applauded in a movie theater https://youtu.be/RvAOuhyunhY
Wow! It will be very interesting to see if the movie actually does get released…or ends up being shelved.
Thanks, Mary Hollowell for the recommendation – it looks like another meaningful production along the lines of Erin Brockovich and another battle against the "vicious among us".
I was glad to share awareness materials with moviegoers, after this film in Atlanta.
The “pain beam” / Active Denial weapon systems
Gallium-nitritde has the potential to go well beyond radar. It could also transform the Pentagon's favorite "non-lethal" ray gun, the Active Denial System, sometimes called the "pain beam". Active Denial uses a beam of short-wavelength microwaves to heat the surface of the target's skin producing what is termed a "repel effect." You might call it "pain." Anyone, however tough they think they are, would flee after a few seconds of exposure.
***
5G and Active Denial Systems: The Truth About The 5G Rollout
Israeli research studies presented at an international conference reveal that the same electromagnetic frequencies used for crowd control weapons form the foundation of the latest network – branded as 5G – that will tie together more than 50 billion devices as part of the Internet of Things. Current investigations of wireless frequencies in the millimeter and submillimeter range confirm that these waves interact directly with human skin, specifically the sweat glands. Dr. Ben-Ishai of the Department of Physics, Hebrew University, Israel recently detailed how human sweat ducts act like an array of helical antennas when exposed to these wavelengths.
Scientists cautioned that before rolling out 5G technologies that use these frequencies, research on human health effects needed to be done first to ensure the public and environment are protected.
And the article goes on to explain:
Research studies from the Dielectric Spectroscopy Laboratory of the Department of Applied Physics, Hebrew University of Jerusalem, headed by Dr. Yuri Feldman, indicate that millimeter and submillimeter waves may lead to preferential layer absorption. The number of sweat ducts within human skin varies from two million to four million. The researchers pointed to replicated peer research of these biological effects in laboratory research conducted in other countries and considered this mechanism of action well proven.
Today’s cellular and Wi-Fi networks rely on microwaves – a type of electromagnetic radiation utilizing frequencies up to 6 gigahertz (GHz) in order to wirelessly transmit voice or data. However, 5 G applications will require unlocking of new spectrum bands in higher frequency ranges above 6 GHz to 100 GHz and beyond, utilizing submillimeter and millimeter waves – to allow ultra-high rates of data to be transmitted in the same amount of time as compared with previous deployments of microwave radiation.
The article goes on to explain how the US, Russian and Chinese government has been developing electromagnetic technology to induce “burning” sensations in the skin of target individuals. This can be deployed as a crowd dispersal gun which has been called “Active Denial Systems”.
Dr Paul Ben-Ishai explains this research:
video
The bottom line here is that this Israeli research has revealed that what is being branded as “5G Technology” is using the same frequency technology that has already been used for military application in crowd control and who knows what else that has not been revealed yet.
So the industry is packaging up a very dangerous, already weaponized frequency band (millimeter/sub-terahertz waves) to facilitate an infrastructure supporting “the internet of things” regardless of its seriously problematic interaction with human skin. The sweat glands are acting as helical antennas and that's how ADS (active denial systems) cause people subjected to a crowd control beam to have a nearly instant reaction to flee!
https://www.knowingthetruth.com/5g-and-active-denial-systems-the-truth-about-the-5g-rollout/
I say round up all the inventors of this diabolical technology, put them in a sauna and shine a beam of 5G on 'em– a jolly good dose of their own medicine might cure 'em, eh?
Susan: There were rumors, and articles written about this AD weapon during the elective war upon the Iraqi People. It seems the US military tested these evil devices there. And some reports stated a few unwitting crowd controlled subjects (Guinea Pigs) were cooked. Active denial really means there will be no more “French Revolutions.” The corrupt will have impunity.
Thank you V. Susan for this article. The frequencies for 5G are in the millimeter and sub-millimeter range, not microwaves. Funny, Is Real designed 5G, but aren't getting it for 5, 7 years? Why, why is that? Shouldn't they try it there first? Meanwhile, our streets are being torn up for the pipes to carry the kill grid. Ditch witches everywhere, and much of it done at night. Thanks Mr Orange Face. This system is being deployed on the ground. They are going to get you from the ground, but they want you to think 5G is going to get you from space, so you think there is nothing you can do.
Well, Millimeter waves don't travel very far, that's why they are going to be on every light pole. Millimeter waves don't go through trees, that's why they're cutting them down. Millimeter waves are what is used at the airport to scan you for weapons. Millimeter waves @ 60 GHz will compete with your heater for oxygen in your home. Do not bring the coming 5G "Wi Gig" into your home.
Not sure what to expect as far as how millimeter waves will physically feel, but thanks to our criminal electric utility who microwaved us in our home, with their smart spy meters, when we got solar, which made us very sick within a week, we are now sensitive to the invisible microwave frequencies and feel them nearly every day, every where, including the radars controlling our weather. I feel the frequencies, I start to feel sick, then the wind starts blowing, then the sickness goes away, that fast, coincidence? I think not. Now, if I were to make a family member or neighbor sick, I would be hauled off to jail and labeled a criminal. When you make people sick, YOU ARE A CRIMINAL. Note: Those of you receiving a paycheck from these criminals are complicit in the crimes against us. ALL OF YOU.
Thank you V Suzan Ferguson for your comments.
They have progressed with their technology . I fail to understand why they need to futz around in this country and spray us with the plastic fibers mixed with powder detergents and minerals that insure the sprayed fibers do not stick to each other when released into the air.The detergents cause my gutter spouts to froth during and after rain and are rather destructive to eyes and nose and throat.Secially that this toxic air gets into our home and eventually settles onto floor, beds, furniture, and all other items where we rebreathe it when we clean our homes,sleep, and sit on our furniture.. The most disconcerting fact is these billions of dumped air particles infest our clothes and linens when we dry our washed laundry, and our dryers suck all the dirty air and traps many particle into and onto the fabric. This contaminated air causes dry coughs and affects our children and pets very adversely over the years
. Kind Regards
PS — Being able to do something without regard to its impact on health and life,, is not a license to do it..
Google Rolls Out "Orwellian Nightmare" Technology To Spy On You In YOUR HOME
Google’s new Nest Hub Max is a smart display unit that comes equipped with a 6.5-megapixel facial recognition camera that identifies you and monitors all your actions – inside your own home. And the Orwellian icing on the cake is that it is not equipped with a physical shutter to forcibly prevent it from monitoring what’s happening in your home.
It’s the first smart home product from Google to include a camera so you can make video calls. It looks like a tablet propped up on its side, and it works similarly to smart speakers, such as Amazon Echo. …
The Nest Hub Max is essentially a smart speaker that lets you control connected smart home devices, and comes with a display and camera.
It’s the first smart home product from Google to include a camera so you can make video calls. It looks like a tablet propped up on its side, and it works similarly to smart speakers, such as Amazon Echo. …
The Nest Hub Max is essentially a smart speaker that lets you control connected smart home devices, and comes with a display and camera.
It’s not too dissimilar from the Google Home Hub, which Google just rebranded as Nest Hub. The new device has a 10-inch HD screen. It looks like a tablet in landscape orientation that’s propped up on a base. The base contains a speaker. At the top of the device are a camera and microphones. –The Daily Dot
The device allows you to check in on what’s happening in your home when you’re out, and because of its facial recognition capabilities, will detect when you enter the room and provide personalized information to you, such as your day’s appointments, the weather forecast, and so on, reported Natural News. The camera also enables two-way video calls over Google Duo and comes loaded with the Google Assistant (which has been the focus of a huge number of privacy issues). While all these functions might sound super convenient and fun, the privacy issues raised by the camera and audio functionality cannot be overlooked.
https://www.shtfplan.com/headline-news/google-rolls-out-orwellian-nightmare-technology-to-spy-on-you-in-your-home_09262019
WHO IN THEIR RIGHT MIND would even so much as think to put something like this in their house–???
Susan: I know not what course others may take…….but no thanks. There is no way in hell I knowingly would put this evil technology inside my home or anywhere in my environs. Of course one knows by now this crap is nothing but a spy operation.